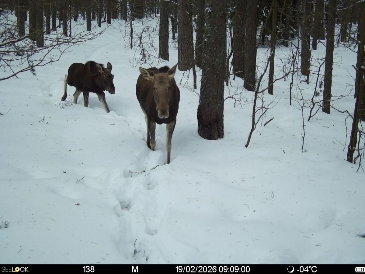
В Рязанской области на фото попали лоси, волк и кабан
В Рязанской области фотоловушки заповедника запечатлели животных в снегу
© Окский государственный природный заповедник
Сотрудники Окского государственного природного биосферного заповедника опубликовали свежие кадры с фотоловушек, расположенных на территории объекта.
В этот раз запечатлеть удалось только лосей, волка и кабана. Животные перебираются через сугробы, высота снежного покрова в заповеднике превысила один метр.







Комментируйте наши новости:
Другие новости Общество
В Рязань привезли отреставрированную иquot;полуторкуиquot;, поднявшую со дна Ладоги
В Рязани оштрафовали 9 нарушителей за незаконные земляные работы на 264 тысячи рублей
В Рязани 12 детей с экстремально низкой массой тела родились в перинатальном центре в 2026 году
В Шацке Рязанской области продолжат благоустройство набережной
Главные новости
17/04/2026 13:00
От «веселых» выборов до «индекса активности»: как работали депутаты от Рязанской области в Госдуме 8-го созыва
16/04/2026 11:00
Стало известно, кто из КПРФ выдвинут в кандидаты депутатов Госдумы от Рязанской области